1 Highway 289 Highway, Middle Stewiacke, (MLS® 202603634) REMAX NOVA
Google Play iOS Google Play iOS

1 Highway 289 Highway, Middle Stewiacke

$49,900 For Sale

Description

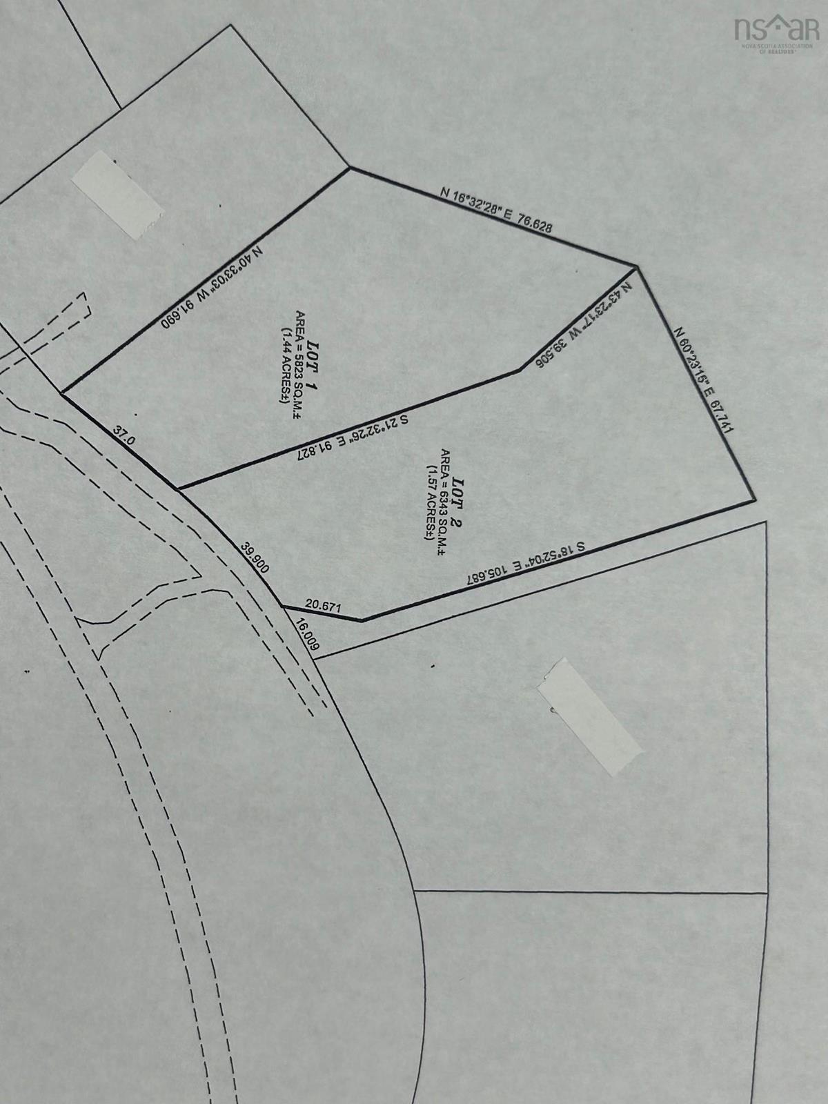
Discover a peaceful natural setting just 8 minutes to Brookfield with convenient access to Highway 102. Surrounded by nature, it's the perfect setting for a new home or a relaxing cottage escape that is still close to amenities. Outdoor enthusiasts will love being just minutes from the Stewiacke River, where you can enjoy canoeing, kayaking, fishing and swimming. Come take a look and explore the possibilities! PID 20481156 to be subdivided before closing and assigned a new PID.

Listing Details

Address
1 Highway 289 Highway, Middle Stewiacke, B0N 1C0

Status
ACTIVE
Listing Price
$49,900
MLS®
202603634
Type
n/a
Style
---
PID
20481156

Water
None
Sewer
None
Utilities
None

Building Specifications

Foundation Type
---
Roof
---
Exterior Finish
---
Flooring
---

Looking for a Mortgage? Get Your Free Quote Started Today!

Garage & Parking

Garage
---
Details
---

Sales History

Demographic Data

Demographic data is based on the dissemination area that contains the listing parcel . Dissemination Areas are small areas composed of one or more neighbouring dissemination blocks. All of Canada is divided into dissemination areas. Data source: Environics Analytics via ArcGIS Online, 2021

Population Size

468

Median Age

41.6

Avg Household Size

2.6

Avg House Income

$111K

The number of people for each age range.

How the population of this area is expected to change.

The highest level of education obtained by people within this area.

The maritial status of the people in this area.

The average household income within this area.

The number of people that rent versus own.

When the buildings in the area were constructed.

The number of children at home for the given age ranges.

The occupations of the people living here.

Tax Assessment

Year Amount % Change
2024 $64,200 ---
2023 $58,300 ---
2022 $58,300 ---
2021 $58,300 ---
2020 $58,300 ---
2019 $58,300 ---
2018 $58,300 ---

Maps

Mortgage Inquiries

Last Updated On: 3/5/2026 3:04:22 PM (UTC)